விண்கல கல்லறை : ஆழ்கடலில் மறைந்துள்ள விண்கலம்!
மிக துல்லியமாக, அதன் சரியான ஆயக்கூறுகள், 42 டிகிரி 52.6 நிமிடங்கள் தென் அட்சரேகை மற்றும் 123 டிகிரி 23.6 நிமிடங்கள் மேற்கு தீர்க்கரேகை ஆகும்.
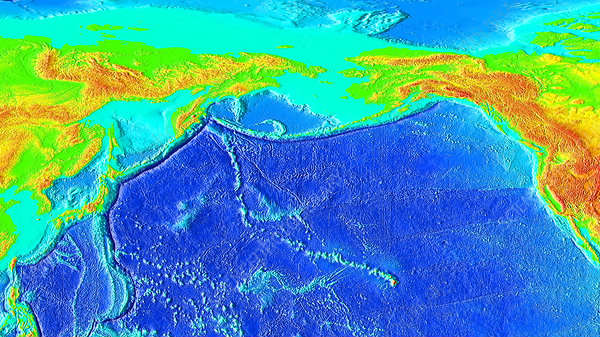
பூமியில் உள்ள மிகவும் தொலைதூர இடம் பல பெயர்களைக் கொண்டுள்ளது: அது நெமோ புள்ளி(லத்தீன் மொழியில் ' யாரும் இல்லா') என்றும், அணுகமுடியா கடல் துருவம் என்றும் அழைக்கப்படுகிறது. மிக துல்லியமாக, அதன் சரியான ஆயக்கூறுகள், 42 டிகிரி 52.6 நிமிடங்கள் தென் அட்சரேகை மற்றும் 123 டிகிரி 23.6 நிமிடங்கள் மேற்கு தீர்க்கரேகை ஆகும்.

2,250 கி.மீ.
இந்த இடம் எந்த நிலப்பகுதியிலிருந்தும்சுமார் 2,250 கி.மீ. (1,400 மைல்கள்) தொலைவில் உள்ளது மற்றும் இது செயலிழந்த அல்லது செயலிழந்து கொண்டிருக்கும் விண்கலத்தை வீழ்த்துவதற்கான சரியான இடமாக உள்ளது. அதனால் தான் இதை நாசா "விண்கல கல்லறை" என்று அழைக்கிறது.

பசிபிக் பெருங்கடலில் உள்ள இந்த இடம்
பசிபிக் பெருங்கடலில் உள்ள இந்த இடம், மனித நாகரிகம் உள்ள எந்த இடத்திலிருந்தும் மிகவும் தொலைவில் உள்ளது என்கிறது நாசா. விண்வெளி பொறியியலாளர் மற்றும் வளிமண்டலத்திற்கு திரும்பும் நிபுணரான பில் ஐலோர் இதை மற்றொரு வழியில் கூறுகிறார்: " எதையும் தாக்காமல் பொருட்களை கீழே வீசுவதற்கான சிறந்த இடம்" என்கிறார்.

பூமியை நோக்கி வேகமாக வரும் செயற்கைகோள்கள்
இந்த கல்லறையில் ஏதையாவது "புதைக்க" வேண்டுமானால், விண்வெளி நிறுவனங்கள் இந்த இடத்தின் மீது அவற்றை மோதினால் போதும். சிறிய செயற்கைகோள்கள் பொதுவாக நெமோவில் புள்ளியை அடையாது, ஏனென்றால் நாசா விளக்குவது போல், "மணிக்கு ஆயிரக்கணக்கான மைல்கள் வேகத்தில் பூமியை நோக்கி வேகமாக வரும் செயற்கைகோள்கள், விமானத்தின் உராய்வினால் ஏற்பட்ட வெப்பத்தால் எரிந்து சாம்பாலாகிவிடும் "

சீனா விண்வெளி மையமான டியாங்காங்-1
இங்கு பிரச்சனை என்னவெனில் சீனா விண்வெளி மையமான டியாங்காங்-1 போன்ற மிகப்பெரிய விண்கலங்கள் தான். செப்டம்பர் 2011 ல் விண்ணில் செலுத்தப்பட்ட இதன் எடை 8.5 டன். 2016 மார்ச்சில் 12 மீட்டர் நீளமுள்ள இந்ந சுற்றுப்பாதை ஆய்வகத்தின் மீதான கட்டுப்பாட்டை சீனா இழந்து விட்ட நிலையில், 2018 ஏப்ரல் 2 ஆம் தேதி அன்று அது தகர்க்கப்பட்டது. ஆனால் அதன் நூற்றுக்கணக்கான பவுண்டுகள் எடையுள்ள டைட்டானியம் சாரக்கட்டு மற்றும் கண்ணாடி ஃபைபர்-சுற்றப்பட்ட எரிபொருள் டாங்கிகள், தரையில் விழுந்து நொறுக்குவதற்கு முன்னால் மணிக்கு 180 மைல்கள் வேகத்தில் பயணித்தன. (அதிர்ஷ்டவசமாக அது கடலில் மூழ்கியது) டியாங்காங்-1 மீதான கட்டுப்பாட்டை சீனா இழந்ததால், அந்த விண்வெளி மையம் நெமோ புள்ளி மீது தகர்வதை உறுதி செய்ய முடியவில்லை.

கல்லறைக்கு அருகில் வசிக்கும் விண்வெளி வீரர்கள்
சர்வதேச விண்வெளி நிலையத்தில் வாழும் விண்வெளி வீரர்கள் உண்மையில் வேறு எவரும் இல்லாத வகையில் விண்கல கல்லறைக்கு மிக நெருக்கமாக வாழ்கின்றனர்.ஏனெனில் நெமோ புள்ளியில் இருந்து பூமியின் மேலே 360 கி.மீ. தொலைவில் சுற்றுப்பாதை ஆய்வகமான சர்வதேச விண்வெளி மையம் பறக்கிறது. (இதற்கிடையில் அருகில் உள்ள தீவின் அதைவிட மிக தொலைவில் உள்ளது.)
1971 மற்றும் 2016 ஆம் ஆண்டின் மத்தி வரை, உலகெங்கிலும் உள்ள விண்வெளி நிறுவனங்கள் இப்பகுதியில் குறைந்தபட்சம் 260 விண்கலத்தை மூழ்கடித்துள்ளன. 2015 ஆம் ஆண்டில் வெறும் 161 ஆக இருந்த எண்ணிக்கை அதன்பிறகு குறிப்பிடத்தக்க அளவில் உயர்ந்துள்ளது.

குப்பைகளால் நிரம்பியுள்ளன
இரண்டு மைல் ஆழத்தில் தண்ணீருக்கு அடியில் புதைக்கப்பட்டிருக்கும் பட்டியலில், சோவியத் யூனியன் காலத்து எம்ஐஆர் விண்வெளி நிலையய்,140 க்கும் மேற்பட்ட ரஷ்ய ரீசப்ளை வாகனங்கள், ஐரோப்பிய விண்வெளி ஏஜென்சியின் பல்வேறு கார்கோ ஷிப் (ஜூல்ஸ் வெர்னே ஏடிவி போன்றவை) மற்றும் ஒரு ஸ்பேஸ் எக்ஸ் ராக்கெட்-ம் அடக்கம். எனினும் இந்த செயலிழந்த விண்கலங்கள் நேர்த்தியாக ஒன்றாக மூழ்கியிருக்கவில்லை.
டியான்காங் -1 போன்ற மிகப்பெரிய பொருட்கள் சிறுசிறு துண்டுகளாக உடைந்து, 1,600 கிமீ (995 மைல்கள்) நீளத்திற்கும் ,பல டஜன் மைல் அகலத்திற்கும் நீண்டு, குப்பைகளால் நிரம்பியுள்ளன என்கிறார் ஐலோர்.

விண்வெளி குப்பைகளின் அச்சுறுத்தல்
சுமார் 5,000 செயற்கைக்கோள்கள் தற்போது பல்வேறு உயரங்களில் பூமியை சுற்றிவருகின்றன. மேலும் 12,000 புதிய இணைய-சேவை வழங்கும் செயற்கைக்கோள்களின் வலையமைப்பை, எதிர்காலத்தில் விண்ணில் செலுத்த எலன் மஸ்க் மற்றும் ஸ்பேஸ்எக்ஸ் திட்டமிட்டுள்ளனர்.
ஆனால் விண்வெளி குப்பைகளின் அச்சுறுத்தலை கருத்தில் கொள்ளும்போது அங்கு மிகவும் நெரிசலாகும் என எதிர்பார்க்கப்படுகிறது.


Click it and Unblock the Notifications